Bouwgrond voor open bebouwing met landelijk uitzicht

Een bouwgrond van circa 3000m² (Huidige inschatting, verder uit te meten door landmeter) gelegen te Moorsele. Breedte van het perceel is circa 17m en een diepte van circa 170m. Het perceel bouwgrond is toegankelijk via ‘Tvrije en bevindt zich tussen nr. 41 & 45. De bouwgrond is ideaal voor een open bebouwing van 11m en […]
Bouwgrond te koop voor open bebouwing

Een bouwgrond voor een open bebouwing op een perceel van maar liefst 954m². Perceelsbreedte is circa 15m en een perceelsdiepte van circa 60m. Er kan tot 20m diep op gelijkvloers en 15 m diep op 1ste verdieping worden gebouwd. De breedte bij een open bebouwing is circa 7m gevelbreedte. Perfect voor een grote woning met […]
Bouwgrond met landelijk zicht

Bouwgrond van circa 1500m², mogelijkheid tot meer m².Momenteel bevindt er zich op het perceel een vlasschuur. Bouwen kan mits minstens 5m inwaarts, circa 12m breedte, diepte te bepalen.Ook mogelijkheid om vlasschuur te renoveren.Bouwgrond gelegen in Moorsele, slechts 1 minuut verwijderd van Gullegem (juist over de brug).
Te koop bouwgrond Kortrijk

Ruim perceel grond met een oppervlakte van 1.016 m². Er kan zelf een eigen bouwconcept worden uitgewerkt. Ook mogelijkheid voor woning met ruimte voor vrij beroep (30% van bewoonbare oppervlakte), ruime parkeermogelijkheid aan de woning + mogelijkheid tot plaatsen 2 garages vanachter op het perceel.
Bouwgrond voor halfopen bebouwing met weide te Rekkem

Een bouwgrond voor een halfopen woning op een perceel van 6.977m². Hiervan mag 650m² (1000m³) bebouwd worden (2 bouwlagen). Palend aan de bouwgrond is er nog 6328m² landbouwgrond (wordt dit jaar nog ingezaaid met gras), dit is perfect voor dierenliefhebbers. Heel mooi verzicht op de velden + zongerichte tuin.
Bouwgrond halfopen woning + mogelijkheid weide

Landelijk gelegen bouwgrond voor halfopen bebouwing met ruim zicht op omliggende velden en ideale Zuidwestelijke oriëntatie.Totale oppervlakte van 9404 m² (inclusief weide), bouwbreedte 15 meter, bouwdiepte van 12 meter, mogelijkheid tot volledige onderkeldering, zwembad,… Voor meer informatie, contacteer +32 476 39 43 68 of immobigsand@telenet.be
Te koop bouwgrond met in totaal 41.097 m² grond

Bouwgrond voor een alleenstaande woning van 1.000 m³ met aaneengesloten perceel grasland van in totaal 26.000 m², alsook nabijgelegen vrije grond van 15.097 m². In totaal dus meer dan 41.000 m² grond die vrij en volledig zelf in te richten is. Zo kan er een stal geplaatst worden van 200 m² nabij de woning en […]
Un terrain à batir à Izel

C’est un terrain à batir à Izel-Chiny de 2 623m². Il y a une possibilité de construire deux maisons (3 facades) ou trois maisons. La longueur est 83m et la largeur est 32m.Aussi une maison est possible mais tu as des restrictions d’un 3 facades.
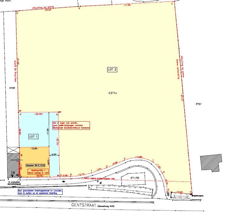
bouwgrond in rustige omgeving

bouwgrond in st-denijs op 200 meter van lagere schoolin een nieuwe verkaveling en doodlopende straat.tuin zuidgericht bouwdiepte gelijksvloer 15 meter verdiep 12 meter.lot 2 zijnde 652m2 101415 euro 155 euro per m2lot 3 zijnde 736m2 110 000 euro 149 euro per m2VRIJ VAN AANNEMER