Ruime woning met 3 slaapkamers en tuin te koop te Rekkem

Deze robuuste woning is gelegen in Rekkem met landelijk uitzicht. U komt de woning binnen via de garage ideaal voor fietsen en dergelijke. Hiernaast heb je de lichtrijke living die uitzicht biedt op de veranda. Hieraan palend heb je de keuken. Hierachter bevindt zich de badkamer alsook een berging. Via de veranda kom je uit […]

Te renoveren woning met diepe tuin met garage en uitweg

Deze woning heeft een diepe, lange tuin van 415m² met een uitweg met garage. De woning heeft een ruime living met palend de keuken, badkamer, veranda met wasruimte. Boven bevinden er zich momenteel twee hele ruime slaapkamers. Zeker minstens 4 slaapkamers in totaal mogelijk. Er is ook een uitschuifbare trap die toegang biedt naar de […]

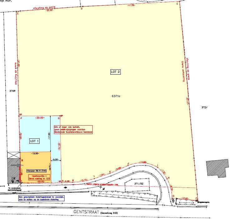
Bouwgrond voor halfopen bebouwing met weide te Rekkem

Een bouwgrond voor een halfopen woning op een perceel van 6.977m². Hiervan mag 650m² (1000m³) bebouwd worden (2 bouwlagen). Palend aan de bouwgrond is er nog 6328m² landbouwgrond (wordt dit jaar nog ingezaaid met gras), dit is perfect voor dierenliefhebbers. Heel mooi verzicht op de velden + zongerichte tuin.

Landelijke woning met verzicht te Rekkem

Een goedbereikbare woning dichtbij de N58 maar toch landelijk gelegen met mooi verzicht. De woning heeft momenteel 1 slaapkamer (mogelijkheid tot meerdere), een grote garage, badkamer, living, geïnstalleerde keuken en groot terras. De woning heeft ook een grote, diepe tuin, perfect voor mensen met huisdieren. Elektrische keuring is conform.